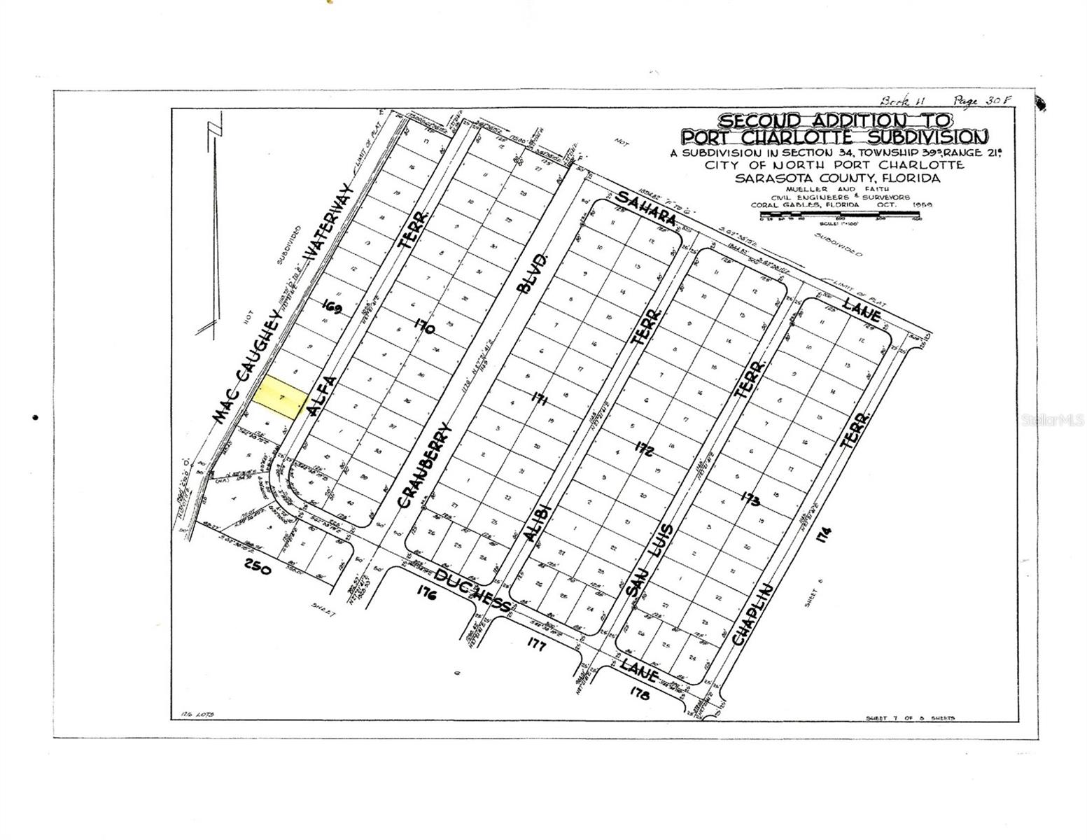
ALFA TERRACENORTH PORT, FL 34286



Mortgage Calculator
Monthly Payment (Est.)
$114Don’t miss this exceptional opportunity to own a waterfront freshwater canal lot in beautiful North Port! The perfect setting to build your dream home, this property offers peaceful water views and a desirable location for both relaxation and convenience. Electric and central water available (septic system required). Not currently located in a Scrub Jay habitat (buyer to reconfirm during due diligence). Not in a designated flood zone – no lender-required flood insurance. Ideally situated between U.S. Route 41 and Interstate 75 for easy commuting. Enjoy close proximity to shopping, dining, parks, golf courses, beaches, and countless recreational activities. Experience everything North Port has to offer — from natural beauty to modern conveniences. Secure your slice of Florida waterfront living today!
| 4 hours ago | Listing updated with changes from the MLS® | |
| 5 hours ago | Listing first seen on site |
Listing information is provided by Participants of the Stellar MLS. IDX information is provided exclusively for personal, non-commercial use, and may not be used for any purpose other than to identify prospective properties consumers may be interested in purchasing. Information is deemed reliable but not guaranteed. Properties displayed may be listed or sold by various participants in the MLS Copyright 2026, Stellar MLS.
Last checked: 2026-02-27 07:12 PM EST
Did you know? You can invite friends and family to your search. They can join your search, rate and discuss listings with you.